
Το γραφείο μας παρέχει ολοκληρωμένες υπηρεσίες τοπογραφικής μελέτης, με τον υπερσύγχρονο εξοπλισμό που διαθέτει με συστήματα GNSS και Γεωδαιτικούς Σταθμούς αλλά και την εκπαιδευμένη και εξειδικευμένη ομάδα που εργάζεται πάνω σε αυτές.
Η τοπογραφική μελέτη από πλευράς μας περιλαμβάνει: τη μελέτη του μηχανικού, τις μετρήσεις πεδίου αλλά και την τελική λεπτομερή αποτύπωση στο χώρο του κάθε ακινήτου.
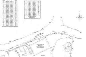
Τα παραπάνω δίνουν την ευχέρεια στον πελάτη να παραλάβει ένα πλήρες τοπογραφικό με τη μέγιστη ακρίβεια (απόκλιση μέχρι 2 εκατοστά), και με τη μέγιστη λεπτομέρεια για να προχωρήσει στις διαδικασίες που το χρειάζεται.
Το τοπογραφικό διάγραμμα χρειάζεται στις εξής περιπτώσεις:
1. Για την έκδοση οικοδομικών αδειών
2. Για τα συμβόλαια
3. Για πράξεις τακτοποίησης και αναλογισμού
4. Για κυκλοφοριακές συνδέσεις
5. Για χαρακτηρισμό έκτασης
6. Για τη διαδικασία κτηματογράφησης (εντοπισμός για το κτηματολόγιο).

HellasSITES